Siêu bão Sinlaku mạnh nhất thế giới kể từ đầu năm đến nay

Siêu bão Sinlaku mạnh nhất thế giới kể từ đầu năm đến nay
7 giờ trướcBài gốc
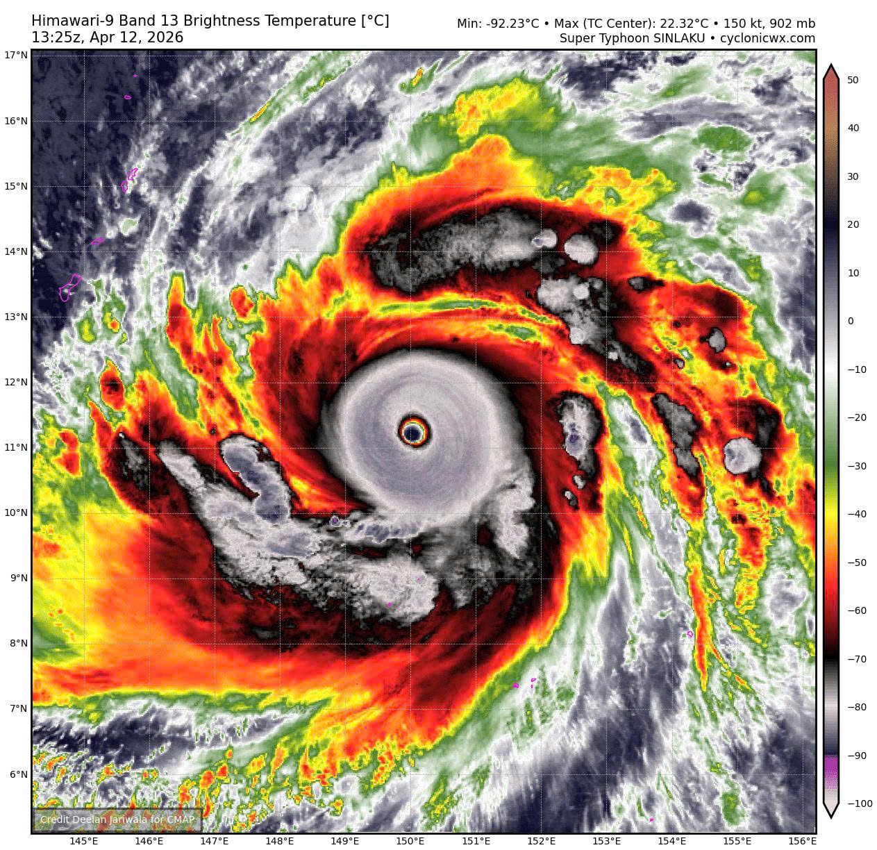
Tối 12-4, bão Sinlaku ở khu vực Tây Bắc Thái Bình Dương đã mạnh lên cấp siêu bão với cường độ cấp 16, giật trên cấp 17.
Theo Cơ quan Khí tượng Nhật Bản, lúc 9 giờ sáng nay (13-4), siêu bão Sinlaku ở vị trí 12,2 độ Vĩ Bắc; 148,8 độ Kinh Đông. Siêu bão di chuyển theo hướng Tây Bắc với tốc độ 15 km/giờ. Khí áp vùng trung tâm đạt 905 hPa. Tốc độ gió tối đa vùng gần tâm bão đạt 60 m/s.
Tối 12-4, bão Sinlaku ở khu vực Tây Bắc Thái Bình Dương đã mạnh lên cấp siêu bão với cường độ cấp 16, giật trên cấp 17.
Siêu bão Sinlaku hình thành từ một vùng áp thấp trên khu vực Tây Bắc Thái Bình Dương. Sáng 9-4, vùng áp thấp này mạnh lên thành áp thấp nhiệt đới, sau đó tiếp tục mạnh lên thành bão và đạt cấp siêu bão.
Trung tâm Dự báo Khí tượng Thủy văn quốc gia đang theo dõi sát diễn biến của cơn siêu bão này. Theo dự báo, siêu bão Sinlaku không có khả năng đi vào khu vực Biển Đông mà sẽ di chuyển tới vùng biển phía Đông của Nhật Bản và giảm cấp dần.
Cơ quan khí tượng cho biết Sinlaku là cơn bão đầu tiên trong năm 2026 đạt cấp siêu bão. Đây cũng là lần đầu tiên siêu bão xuất hiện trong tháng 4 kể từ bão Surigae (2021) và là lần thứ ba kể từ năm 1977.
Hiện Sinlaku cũng là cơn bão mạnh nhất thế giới kể từ đầu năm đến nay, vượt qua bão Maila đang hoạt động ở khu vực Úc.
AN HIỀN
Nguồn PLO : https://plo.vn/video/sieu-bao-sinlaku-manh-nhat-the-gioi-ke-tu-dau-nam-den-nay-post903950.html