Vụ xây nhầm nhà, hoán đổi rồi lại 'xây nhầm' ở Đắk Lắk: Chờ tòa án giải quyết

Vụ xây nhầm nhà, hoán đổi rồi lại 'xây nhầm' ở Đắk Lắk: Chờ tòa án giải quyết
2 giờ trướcBài gốc
Thửa đất số180 nhà ông Ban (khoanh đỏ) bị nhà Hải xây chồng lấn.
Nhiều hộ đồng ý chỉnh lý giấy tờ, riêng anh Hải lại không
Ngày 23/10, anh Nguyễn Phượng Huy (SN 1987, trú phường Tân An, Đắk Lắk), được chú ruột Nguyễn Văn Ban (SN 1971, trú xã Krông Năng, Đắk Lắk) ủy quyền, cho biết đã ủy quyền cho luật sư để gửi đơn lên Tòa án nhân dân khu vực 1 – Đắk Lắk giải quyết các vấn đề liên quan tới thửa đất do ông Ban là chính chủ, đang bị người khác xây dựng lấn sang,
Liên quan tới vụ "Xây nhầm nhà, hoán đổi rồi lại “xây nhầm” mà báo Tiền Phong phản ánh, ông Nguyễn Đồng Đăng, nguyên Phó Chủ tịch phường Tân An (cũ), nguyên Chủ tịch Hội đồng hòa giải phường, trực tiếp chủ trì các buổi hòa giải trước đây cho hay, phường đã mời anh Lê Quang Hải (chủ thửa đất 172, bị tố xây lấn đất của ông Ban) và các hộ gia đình lên hòa giải nhiều lần.
“Trước đây, các hộ mua đất và nhận bàn giao theo thực địa chủ cũ đã tách thửa, cắm mốc sẵn. Hồi đó, việc đo đạc, cắm mốc chủ yếu bằng tay, dùng thước dây. Sau khi xảy ra việc anh Hải xây nhầm nhà lần 1 trên toàn bộ thửa đất nhà ông Ban, phường đã mời 2 hộ, chủ đất cũ và các hộ xung quanh lên làm việc. Tại buổi làm việc, ông Ban và Hải thỏa thuận đổi đất cho nhau để Hải tiếp tục xây dựng, chi phí phát sinh cho việc chỉnh lý thông tin 2 bên cùng chịu. Tuy nhiên, không hiểu sao sau đó Hải về suy nghĩ, xem xét, quyết định hoàn trả lại móng vừa xây nhầm cho ông Ban rồi thuê công ty đo đạc, xây dựng lại theo tọa độ đã đo”, ông Đăng cho hay.
Biên bản làm việc ngày 11/4/2025 thể hiện phường Tân An đã mời hộ anh Hải, ông Ban, chủ đất cũ và mấy hộ liền kề lên giải quyết. Trước đó, sau khi anh Hải xây nhầm nhà lần 1, ngày 27/3/2025, phường đã đo đạc bằng thước dây tại thực địa để có cơ sở xác định vị trí các thửa đất nhà anh Hải, ông Ban và các hộ liền kề.
Tại buổi thực địa, anh Hải là chủ đầu tư xây dựng công trình tại thửa đất 172 cho biết, trước khi khởi công, anh đã xin giấy phép xây dựng và được UBND TP Buôn Ma Thuột (cũ) cấp phép ngày 26/9/2024.
Theo anh Hải, ban đầu, do đo đạc định vị bằng thước dây, lấy mốc cột điện ở thực địa để đo nên cứ nghĩ đã xác định đúng vị trí thửa đất. Khi triển khai xây móng, qua phản ánh của một số chủ sử dụng đất liền kề, anh Hải mới phát hiện vị trí xây nhà của mình đang thuộc một phần thửa đất số 180 của ông Nguyễn Văn Ban làm chủ nên anh cho dừng thi công.
Biên bản thể hiện, ngày 3/4/2025, phường Tân An đã tổ chức buổi hòa giải. Tại đây, các chủ sử dụng đất có mặt (6 hộ) thống nhất sử dụng theo ranh giới tại thực địa đã chia. Đồng thời 6 chủ sử dụng đất tại khu vực trên tiến hành đo đạc, điều chỉnh tọa độ và đính chính thông tin thửa đất cho phù hợp với thực tế.
Anh Hải và anh Huy (người được ông Ban ủy quyền) thống nhất cao với phương án trên. Khi đính chính xong và các hộ còn lại thống nhất ký tên thì anh Hải mới tiếp tục được xây dựng.
Tuy nhiên, sau khi bàn bạc với gia đình, anh Hải không đồng ý với phương án thỏa thuận như đã nêu trên mà có đơn đề nghị sử dụng ranh giới, mốc tọa độ thửa đất theo tọa độ đã được cấp trên Giấy chứng nhận quyền sử dụng đất (GCNQSDĐ).
Vì vậy, buổi hòa giải không thành. UBND phường đề nghị một trong hai bên nộp đơn lên tòa án để được giải quyết.
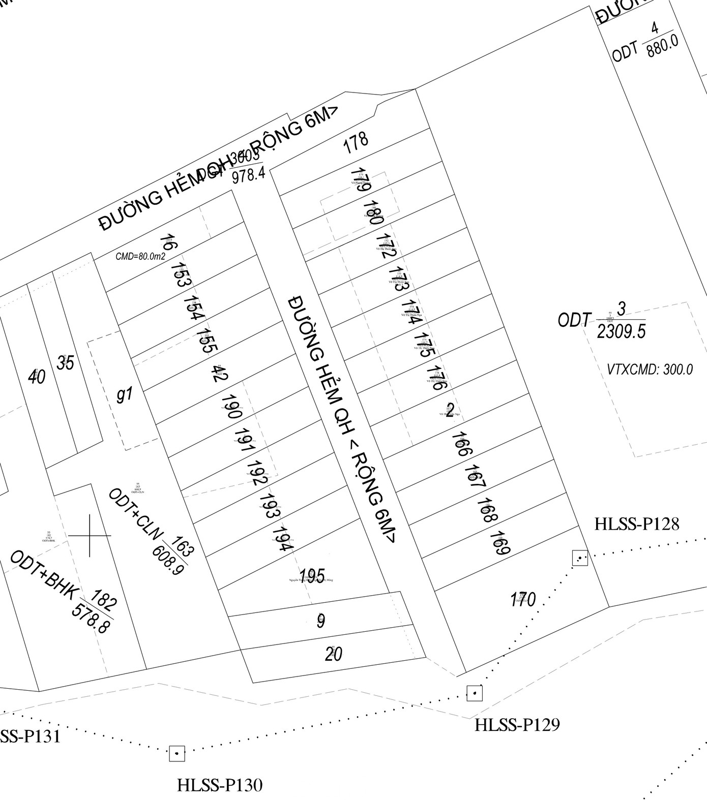
Sơ đồ tách thửa, trong đó có thửa 172 của Hải và thửa 180 của ông Ban do Chi nhánh VPĐKĐĐ khu vực Buôn Ma Thuột cung cấp cho báo Tiền Phong.
Dữ liệu tách thửa do Chi nhánh VPĐKĐĐ khu vực Buôn Ma Thuột cung cấp cho báo Tiền Phong.
Cảnh báo các App tra cứu thông tin quy hoạch
Trao đổi với phóng viên báo Tiền Phong, ông Nguyễn Văn Mạnh, Giám đốc Chi nhánh Văn phòng đăng ký đất đai (Chi nhánh VPĐKĐĐ) khu vực Buôn Ma Thuột, cho biết thửa đất của nhà anh Lê Quang Hải và ông Nguyễn Văn Ban mua sau khi chủ cũ đã phân lô, tách thửa. Theo quy định của pháp luật, các thửa đất thuộc một thửa lớn, sau khi chủ sở hữu nộp đầy đủ các giấy tờ theo quy định, Chi nhánh VPĐKĐĐ khu vực Buôn Ma Thuột sẽ thẩm định, tách nội nghiệp trên máy tính (không xuống đo đạc trực tiếp -PV).
Ông Hồ Nhật Quang, Phó trưởng bộ phận kỹ thuật đo lường đất đai, thuộc Chi nhánh VPĐKĐĐ khu vực Buôn Ma Thuột cho biết thêm, việc tách thửa theo GCNQSDĐ được cấp không cần ký giáp ranh giữa các bên vì đây là tách thửa trên cùng 1 sổ ra. Việc ký giáp ranh chỉ áp dụng với trường hợp đo đạc cấp đổi GCNQSDĐ mới.
Theo ông Quang, đáng nhẽ khi xây nhà, anh Hải và các hộ phải thỏa thuận mốc giới rõ ràng, có sự thống nhất chung để khỏi xảy ra việc chồng lấn, tranh chấp sau này. Tuy nhiên, ở đây anh Hải chọn phương án xây theo mốc tọa độ đã thuê công ty đo đạc, không thỏa thuận điều chỉnh với các hộ xung quanh.
“Giữa tọa độ đo đạc bằng máy và thực địa vẫn có sự sai khác. Người dân muốn xin tọa độ chính xác cần lên Sở Nông nghiệp và Môi trường để gặp Văn phòng ĐKĐĐ tỉnh xin đo đạc, trích lục. Còn Chi nhánh Văn phòng ĐKĐĐ khu vực Buôn Ma Thuột chỉ có chức năng đo đạc chỉnh lý thửa đất, tách thửa nội nghiệp trên máy.
Ông Nguyễn Văn Mạnh, Giám đốc Chi nhánh VPĐKĐĐ khu vực Buôn Ma Thuột cho hay
Theo ông Mạnh, thông tin tra cứu quy hoạch trên các phần mềm như Guland, Thongtin.land…không phải thông tin chính thống của chính quyền cung cấp, chỉ có tính chất tham khảo. Do đó, người dân không thể tin tưởng tuyệt đối vào thông tin từ các phần mềm đó khi mua bán đất. Cần hỏi cơ quan nhà nước xin giấy tờ trích lục, đóng dấu rõ ràng.
“Trong vụ việc này, anh Hải không thống nhất điều chỉnh chung với các hộ. Bây giờ sự việc đã rồi, chỉ có chờ tòa án giải quyết”, ông Mạnh chia sẻ.
Tuấn Nguyễn
Nguồn Tiền Phong : https://tienphong.vn/vu-xay-nham-nha-hoan-doi-roi-lai-xay-nham-o-dak-lak-cho-toa-an-giai-quyet-post1789743.tpo